30 Oct 2025

Hurricane Melissa kills at least 30 in the Caribbean as it crosses the Bahamas

12:01 pm on 30 October 2025
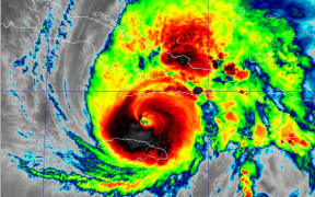
Infrared satellite imaging of Hurricane Melissa from 29 October 2025 after the eye had passed over Jamaica.

Melissa hit Jamaica as one of the strongest Atlantic hurricanes on record, Photo: NOAA

Hurricane Melissa killed has killed at least at least 30 people in Caribbean as it crosses the Bahamas.

More than 20 people died in Haiti after a river flooded by the powerfule storm burst its banks, the local mayor said.

People remain trapped in several homes that collapsed in the port of Petit-Goâve, Mayor Jean Bertrand Subrème said, according to the Associated Press.

"I am overwhelmed by the situation," he said, adding that he'd requested assistance from the government in the troubled nation as it grapples with rampant gang violence.

Just one official from the Civil Protection Agency was in the area affected by the storm, AP reported, with locals battling to evacuate as floodwaters rose in recent days.

The area has been hit by Melissa's heavy rain at times for seven to eight days, with estimated rainfall totals of well over 30cm.

Four bodies were recovered in Jamaica's badly hit St. Elizabeth Parish, and another three died on the island during storm preparations. One person died in the Dominican Republic.

Cuba suffered "significant damage" after Melissa made landfall there on Wednesday morning (local time) as a Category 3 hurricane.

About 140,000 people were cut off by rising river levels as the storm lashed the country.

Melissa was now passing through the Bahamas as a Category 1 hurricane after making landfall in Cuba.

Melissa hit Jamaica as a Category 5 storm, one of the strongest Atlantic hurricanes on record, causing major damage to public infrastructure and left most of the island without power.

A driver tries to remove his vehicle from a flooded area after heavy rains caused by Hurricane Melissa in the town of San Miguel de Parada, Santiago de Cuba province, on October 29, 2025.

In Cuba, a driver tries to remove his vehicle from a flooded area after heavy rains caused by Hurricane Melissa in the town of San Miguel de Parada, as the country suffered significant damage when the storm hit. Photo: AFP / Yamil Lage

- CNN live coverage

Get the RNZ app

for ad-free news and current affairs